
I wanted to get rid of a few broken capillaries around my nose and face, so I scheduled a consultation at a reputable medspa in town. I planned on getting IPL… but while I was sitting in the lobby flipping through brochures, I saw the before-and-after photos for Fraxel.
The results were incredible and the benefits drew me in: increased collagen, reduced fine lines, smaller pores, less pigmentation, smoother texture, and overall – more youthful skin.
Although I walked in for one thing, I left thinking… hmm. I could get even more benefits with this other treatment.
So I scheduled an appointment for a full face Fraxel the following week. What I didn’t realize at the time was how intense the treatment would actually be.
Pre-Treatment
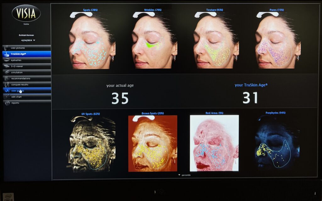
Face Scan
This part was really cool. They did a VISIA scan to estimate how old my skin looked compared to my actual age. It measured things like wrinkles, sun spots, pores, and texture, then compared my skin to a large database of people my age.

Day-Of Treatment
They told me to arrive an hour early to sign paperwork and apply numbing cream. While reading through their patient intake forms, I noticed it said you could be prescribed Xanax beforehand to calm your nerves, and if you took it, you’d need a ride home.
That wasn’t mentioned prior to scheduling and I remember thinking… How serious is this treatment?!
But I was already there, and I figured it couldn’t be that bad.
They handed me a small cup of numbing cream and told me to apply it all over my face. For some reason I treated it like it was some expensive cream and I was light-handed when applying it. That was my first mistake.
What It Felt Like
Y’all. The laser felt like tiny needles piercing my skin and it was painful AF. I tried to act like I was fine, but I wasn’t. My knuckles were probably white from clenching so hard. The thinner parts of my skin – like my forehead and around my eye bones were rough. I asked how long it would take and she said around 20–30 minutes. She noticed I was very uncomfortable and she offered to stop but since we were already in it, I didn’t want to quit. She added more numbing cream, gave me the cooling air tube to hold near my face, and handed me a stress ball to squeeze.
Nearly 40ish minutes later, the treatment was finished. For the next 10 minutes she applied a calming mask and before walking out she handed me an ice pack to reduce the swelling.
Immediately After
My face was bright red and swollen. Not only that, my face was in a lot of pain. As soon as I got in the car I started crying. You guys. I don’t think I’m a baby when it comes to pain tolerance but I was not mentally prepared for how intense it was.
At that moment, I fully understood why someone would opt for the Xanax. It stressed me TF out.
The pain lasted for a few hours and the swelling went down within a day. Over the next few nights my skin was sensitive while I slept. It wasn’t painful but it was uncomfortable.
The Healing Process
Online reviews said 7–10 days. Mine was closer to 10–14.
Day 1-2: Redness calmed down, my face was still puffy, the laser grid marks started showing, and my skin began darkening. Tiny white itchy bumps popped up across my face. That lasted through most of the healing phase but went away when my face was healed.
Day 3-4: The most noticeably dark and textured days. I was hit with some “post treatment blues.” I didn’t read this anywhere online but seeing my skin in such horrible condition was tough mentally. It probably didn’t help that I was holed up in my house avoiding people and the sun. That combo doesn’t exactly boost your mood.
Day 5-6: Peeling started.
Day 7-10: Most of the peeling was done, only a few areas around the outline of my face held on.
Continued Care: They told me to avoid direct sun exposure for 30 days, and ideally minimize it for three months. That’s something to seriously consider if you live somewhere sunny – like me in AZ.

The Results
By Week 2ish, my skin looked SO GOOD. My skin’s texture was a lot smoother, my pores were noticeably smaller, the overall tone looked more even, and I had glowy, dewy skin. It felt worth the $650 I paid for the treatment.

Would I Do It Again?
Oof. At this moment, it’s tough to say for certain.
The experience itself was intense, but I also think it felt worse because I didn’t fully understand what I was signing up for. I was distracted by phenomenal before-and-after photos and didn’t ask enough questions before booking. Now that I know what to expect – and after seeing improvements in my skin *even on the face scan*, I might actually consider doing it again. Is that unhinged? LOL

What I’d Do Differently: If You’re Considering Fraxel
- Ask the technician to walk through pre-care and post-care before scheduling
- Avoid scheduling in the Summer months
- Ask about pain management or preventatives for irritation
- Ask specifically about pigmentation surfacing post-treatment
- Ensure schedule allows for real downtime
- Have the technician apply numbing cream
The Takeaway
Fraxel works but it’s not a casual treatment. I just wasn’t fully prepared but – but now you can be.
You might like: I Tried a Lymphatic Massage or Hair Extension Methods: Honest Rating & Reviews